Тверь, метис ризеншнауцера Блэк
- Автор
- Сообщение
-
Не в сети
- Сообщения: 21658
- Зарегистрирован: 11 янв 2009, 11:20
- Откуда: Москва
- Благодарил (а): 5398 раз
- Поблагодарили: 9792 раза
- Контактная информация:
Тверь, метис ризеншнауцера Блэк
Основная тема: viewtopic.php?f=46&t=15259
Мильбемакс - 26.03.22
Кастрирован, чипирован и вакцинирован Nobivac R - 10.05.22
Чип 643099001554533
Ухо - при даче антибиотика, амоксиклав, хлюпанье уходит и беспокоит меньше.
По прекращении, не спеша все возвращается. Хоть и в меньшей степени:(
Ноябрь, декабрь - артрогликан по 4 таблетки 2 раза в день, хромота уменьшилась, особенно после лежки, но полностью не ушла.
10 января - диронет 1000 - 1,5 таблетки
Мильбемакс - 26.03.22
Кастрирован, чипирован и вакцинирован Nobivac R - 10.05.22
Чип 643099001554533
Ухо - при даче антибиотика, амоксиклав, хлюпанье уходит и беспокоит меньше.
По прекращении, не спеша все возвращается. Хоть и в меньшей степени:(
Ноябрь, декабрь - артрогликан по 4 таблетки 2 раза в день, хромота уменьшилась, особенно после лежки, но полностью не ушла.
10 января - диронет 1000 - 1,5 таблетки
-
Не в сети
- Сообщения: 23825
- Зарегистрирован: 11 дек 2006, 11:54
- Откуда: Москва
- Благодарил (а): 867 раз
- Поблагодарили: 1734 раза
- Контактная информация:
Re: Тверь, метис ризеншнауцера Блэк
Ир, а что напрягло? Почему анализ взяла?
_________________
Шнауцеров много не бывает
Шнауцеров много не бывает
-
Не в сети
- Сообщения: 21658
- Зарегистрирован: 11 янв 2009, 11:20
- Откуда: Москва
- Благодарил (а): 5398 раз
- Поблагодарили: 9792 раза
- Контактная информация:
Re: Тверь, метис ризеншнауцера Блэк
Да надо что-то с его ухом делать, если возможно. Оно не хлюпает, сейчас не жарко. Но всегда ниже, головой потряхивает и предупреждающе повизгивает, если задеть.
Хромота его не прогрессирует, после артрогликана и получше стала...
а ухо беспокоит.
Хочу хирургам показать....
Да и с год у нас детинушка , почти, ничего не проверяли.
А если решим что-то делать, то заодно и жировик на плече убрать и паппилому на шее. Под шерстью не видно, если в рост пойдет.
-
Не в сети
- Сообщения: 23825
- Зарегистрирован: 11 дек 2006, 11:54
- Откуда: Москва
- Благодарил (а): 867 раз
- Поблагодарили: 1734 раза
- Контактная информация:
Re: Тверь, метис ризеншнауцера Блэк
По анализам там прямо можно полечить что-нибудь
_________________
Шнауцеров много не бывает
Шнауцеров много не бывает
-
Не в сети
- Сообщения: 21658
- Зарегистрирован: 11 янв 2009, 11:20
- Откуда: Москва
- Благодарил (а): 5398 раз
- Поблагодарили: 9792 раза
- Контактная информация:
Re: Тверь, метис ризеншнауцера Блэк
По клинике?
Ну в целом как то не очень внятно, учитывая процесс в ухе....
Глистогонку еще раз выдам, на всякий случай.
Возможно витамин Дз и кальций в чем-то из добавок
Чтоб можно было что-то рассмотреть в слуховом проходе, начнем пить амоксиклав 875 + 125 по 1 т 2 раза в день 10 дней и ПреОтик АВ в ухо
-
Не в сети
- Сообщения: 23825
- Зарегистрирован: 11 дек 2006, 11:54
- Откуда: Москва
- Благодарил (а): 867 раз
- Поблагодарили: 1734 раза
- Контактная информация:
Re: Тверь, метис ризеншнауцера Блэк
Кальций цитрат лучше всего усваивается. проверено. но он дорогой
_________________
Шнауцеров много не бывает
Шнауцеров много не бывает
-
Не в сети
- Сообщения: 21658
- Зарегистрирован: 11 янв 2009, 11:20
- Откуда: Москва
- Благодарил (а): 5398 раз
- Поблагодарили: 9792 раза
- Контактная информация:
Re: Тверь, метис ризеншнауцера Блэк
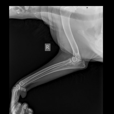
Ну и теперь своими словами:
По локтю :
Крючковидный отросток фрагментирован, артрит.
Здесь по сути только НПВС курсами при обострении.
Это было понятно заранее.
С таким суставом Блэку жить.
Сустав отреагировал на 10 дней антибиотика лучше, чем на хондропротектор. Хромота заметно снизилась:))))
По уху:
После 10 дней амоксиклава 875 + 125 мг 2 раза в день и ПреОтика АВ, то, что я считала новообразованием в слуховом проходе рассосалось. Более того, слуховой проход открылся и сверху.
Возможно, это было 2 см пробки из воспалительного эксудата.
Сейчас Блэк спокойно дает ухо трогать, смотреть и ровно держит голову. Но есть заметное сужение слухового прохода, которое будет давать такие вещи.
Пластика здесь не поможет.
Но, посмотрим, сколько мы проживем без обострений и если начнется, пропьем антибиотик месяц....
Если обострения будут не часты, то и бог с ним.
Если антибиотик, как в первый раз при применении амоксиклава 500 в течение 2 недель, будет давать кратковременный результат, будем думать об удалении слухового прохода.
Весит парень 45 кг, я думала больше:)))
По локтю :
Крючковидный отросток фрагментирован, артрит.
Здесь по сути только НПВС курсами при обострении.
Это было понятно заранее.
С таким суставом Блэку жить.
Сустав отреагировал на 10 дней антибиотика лучше, чем на хондропротектор. Хромота заметно снизилась:))))
По уху:
После 10 дней амоксиклава 875 + 125 мг 2 раза в день и ПреОтика АВ, то, что я считала новообразованием в слуховом проходе рассосалось. Более того, слуховой проход открылся и сверху.
Возможно, это было 2 см пробки из воспалительного эксудата.
Сейчас Блэк спокойно дает ухо трогать, смотреть и ровно держит голову. Но есть заметное сужение слухового прохода, которое будет давать такие вещи.
Пластика здесь не поможет.
Но, посмотрим, сколько мы проживем без обострений и если начнется, пропьем антибиотик месяц....
Если обострения будут не часты, то и бог с ним.
Если антибиотик, как в первый раз при применении амоксиклава 500 в течение 2 недель, будет давать кратковременный результат, будем думать об удалении слухового прохода.
Весит парень 45 кг, я думала больше:)))