Москва, две цверги Зайка и Боня, 13 лет

отказницы из Ейска, д.р. 06.09.2012

Пожилые собаки, которые живут в семьях, но под частичной опекой Фонда
  • Автор
  • Сообщение
Не в сети
Аватара пользователя
Сообщения: 12343
Зарегистрирован: 02 ноя 2017, 12:27
Откуда: Санкт-Петербург
Благодарил (а): 6218 раз
Поблагодарили: 23674 раза

Re: Москва, две цверги Зайка и Боня, 11 лет

Сообщение friedlein »

Боняшу можно считать окончательно прижившейся, кису она больше не ест, все хорошо :dog:
https://rutube.ru/video/private/eea4b47 ... B2S0QG-FFw

https://rutube.ru/video/private/7b8a29d ... jRrQvrrqow

Тему разделить не смогу, все посты про обеих сразу. Так что Боняшу можно в счастливые на сайт, а тема повисит здесь, пока Зайка ищет дом.
_________________
Добрым словом и пистолетом можно добиться гораздо большего, чем просто добрым словом.

Не в сети
Аватара пользователя
Сообщения: 12343
Зарегистрирован: 02 ноя 2017, 12:27
Откуда: Санкт-Петербург
Благодарил (а): 6218 раз
Поблагодарили: 23674 раза

Re: Москва, две цверги Зайка и Боня, 12 лет

Сообщение friedlein »

Видео про Заюшу, Найса и Севу)
https://rutube.ru/video/7445c1937b877f0 ... d2c7/?r=a/
_________________
Добрым словом и пистолетом можно добиться гораздо большего, чем просто добрым словом.

Не в сети
Аватара пользователя
Сообщения: 12343
Зарегистрирован: 02 ноя 2017, 12:27
Откуда: Санкт-Петербург
Благодарил (а): 6218 раз
Поблагодарили: 23674 раза

Re: Москва, две цверги Зайка и Боня, 12 лет

Сообщение friedlein »

Боняша сегодня ушла на радугу. Сердце.
_________________
Добрым словом и пистолетом можно добиться гораздо большего, чем просто добрым словом.

Не в сети
Аватара пользователя
Сообщения: 1755
Зарегистрирован: 27 апр 2012, 17:25
Откуда: СПб
Благодарил (а): 4440 раз
Поблагодарили: 2583 раза

Re: Москва, две цверги Зайка и Боня, 12 лет

Сообщение Дафна »

Очень жалко малышку..
_________________
Лучше шнауцера только три шнауцера....(личный опыт)

Не в сети
Аватара пользователя
Сообщения: 21688
Зарегистрирован: 11 янв 2009, 11:20
Откуда: Москва
Благодарил (а): 5461 раз
Поблагодарили: 9810 раз
Контактная информация:

Re: Москва, две цверги Зайка и Боня, 12 лет

Сообщение zver »

Эх, соболезнования хозяевам
Хорошей ей охоты....

Не в сети
Сообщения: 147
Зарегистрирован: 02 май 2012, 16:42
Откуда: Беларусь, Могилев
Благодарил (а): 3559 раз
Поблагодарили: 58 раз

Re: Москва, две цверги Зайка и Боня, 12 лет

Сообщение Рысь »

Соболезную ...

Не в сети
Аватара пользователя
Сообщения: 12343
Зарегистрирован: 02 ноя 2017, 12:27
Откуда: Санкт-Петербург
Благодарил (а): 6218 раз
Поблагодарили: 23674 раза

Re: Москва, две цверги Зайка и Боня, 12 лет

Сообщение friedlein »

Заюша попрошайничает)
https://rutube.ru/video/f7c343a5fb340a3 ... 87af/?r=a/
_________________
Добрым словом и пистолетом можно добиться гораздо большего, чем просто добрым словом.

Не в сети
Аватара пользователя
Сообщения: 12343
Зарегистрирован: 02 ноя 2017, 12:27
Откуда: Санкт-Петербург
Благодарил (а): 6218 раз
Поблагодарили: 23674 раза

Re: Москва, две цверги Зайка и Боня, 12 лет

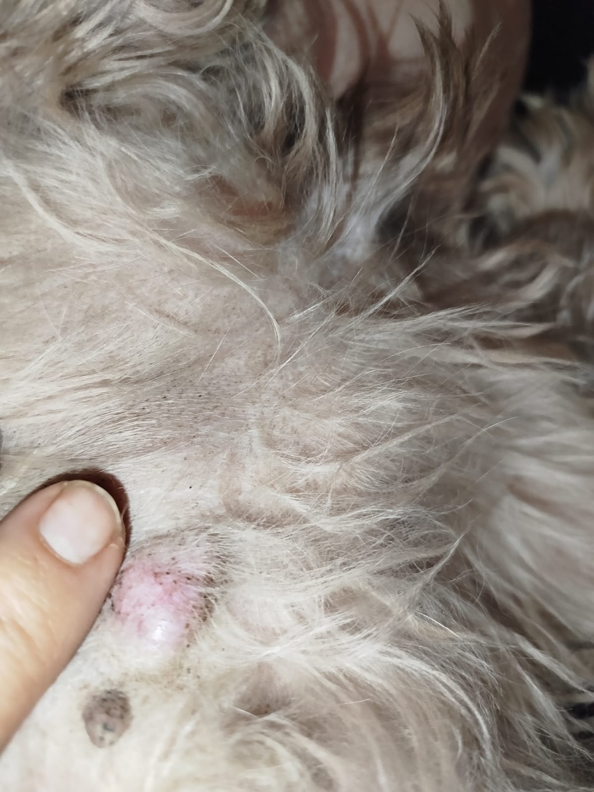
Сообщение friedlein »

У Заюши вот такая штука на пузе. Пойдем к врачу.
Вложения
IMG-20250913-WA0021.jpg
_________________
Добрым словом и пистолетом можно добиться гораздо большего, чем просто добрым словом.

Не в сети
Аватара пользователя
Сообщения: 12343
Зарегистрирован: 02 ноя 2017, 12:27
Откуда: Санкт-Петербург
Благодарил (а): 6218 раз
Поблагодарили: 23674 раза

Re: Москва, две цверги Зайка и Боня, 12 лет

Сообщение friedlein »

Кстати, Зайке 6 сентября 13 лет исполнилось)
Пусть будет здоровенькая и довольная собачка :dog:
_________________
Добрым словом и пистолетом можно добиться гораздо большего, чем просто добрым словом.

Не в сети
Аватара пользователя
Сообщения: 12343
Зарегистрирован: 02 ноя 2017, 12:27
Откуда: Санкт-Петербург
Благодарил (а): 6218 раз
Поблагодарили: 23674 раза

Re: Москва, две цверги Зайка и Боня, 13 лет

Сообщение friedlein »

Визит к онкологу
Вложения
IMG-20250927-WA0013.jpg
_________________
Добрым словом и пистолетом можно добиться гораздо большего, чем просто добрым словом.

Не в сети
Аватара пользователя
Сообщения: 12343
Зарегистрирован: 02 ноя 2017, 12:27
Откуда: Санкт-Петербург
Благодарил (а): 6218 раз
Поблагодарили: 23674 раза

Re: Москва, две цверги Зайка и Боня, 13 лет

Сообщение friedlein »

Это вот Заюша ездила к онкологу, опухоль мж показывала
Вложения
IMG-20250927-WA0011.jpg
_________________
Добрым словом и пистолетом можно добиться гораздо большего, чем просто добрым словом.

Не в сети
Аватара пользователя
Сообщения: 12343
Зарегистрирован: 02 ноя 2017, 12:27
Откуда: Санкт-Петербург
Благодарил (а): 6218 раз
Поблагодарили: 23674 раза

Re: Москва, две цверги Зайка и Боня, 13 лет

Сообщение friedlein »

Заюша на 25.12 записана на удаление гряды с опухолью.
Держим кулачки.
Чеки за анализы
Вложения
IMG_20251217_195516_991.jpg
IMG_20251217_195516_586.jpg
_________________
Добрым словом и пистолетом можно добиться гораздо большего, чем просто добрым словом.

Не в сети
Аватара пользователя
Сообщения: 12343
Зарегистрирован: 02 ноя 2017, 12:27
Откуда: Санкт-Петербург
Благодарил (а): 6218 раз
Поблагодарили: 23674 раза

Re: Москва, две цверги Зайка и Боня, 13 лет

Сообщение friedlein »

Заюше сегодня удалили одну гряду, отдали на гистологию. Пошли домой выздоравливать.
Надо и вторую удалять попозже.
Вложения
IMG_20251229_202106_021.jpg
IMG_20251226_200850_137.jpg
IMG_20251226_200845_780.jpg
_________________
Добрым словом и пистолетом можно добиться гораздо большего, чем просто добрым словом.

Не в сети
Аватара пользователя
Сообщения: 2760
Зарегистрирован: 03 фев 2007, 23:45
Благодарил (а): 256 раз
Поблагодарили: 961 раз

Re: Москва, две цверги Зайка и Боня, 13 лет

Сообщение Windy »

Зайка не намерена заигрывать с клещами. поэтому запасается обработкой (на всякий случай не только на себя, но и вдруг кто новенький приедет)
А также благодарит посетителей сети магазинов «Бетховен» за внимание и поддержку! :wub:
6718 (1).jpg
6718 (1).jpg (34.95 КБ) 1385 просмотров
_________________
Вы за пределами моей гравитации
Ответить

Вернуться в «Шнауцеры на доживании»