Новосибирск, цвергшнауцер Марик, ок. 8 лет

Потеряшка из Иркутска

Мы всегда будем вас помнить ...
  • Автор
  • Сообщение
Не в сети
Аватара пользователя
Сообщения: 12343
Зарегистрирован: 02 ноя 2017, 12:27
Откуда: Санкт-Петербург
Благодарил (а): 6219 раз
Поблагодарили: 23674 раза

Новосибирск, цвергшнауцер Марик, ок. 8 лет

Сообщение friedlein »

Вот, ссылку на авито прислали. Потом Ася и вк откопала объявления.
Написала автору объявления, договорились, что нам зверя отдадут. "Искра" это приют, я так поняла.
Анна, которая его нашла, водила его в ветклинику. Там его осмотрели, нашли отит и конъюктивит.

Ася перерыла Иркутск, нашла цверговодов, они помогли найти передержку. Сегодня Юлия съездила, забрала собаку.
Вот, такой перцовый гражданин.
По возрасту 6-8 лет, предположительно.
https://youtube.com/shorts/5gpKJK8qGxw? ... eVuYB8TX74

Изображение
Изображение
Изображение
Изображение
Изображение
_________________
Добрым словом и пистолетом можно добиться гораздо большего, чем просто добрым словом.

Не в сети
Аватара пользователя
Сообщения: 12343
Зарегистрирован: 02 ноя 2017, 12:27
Откуда: Санкт-Петербург
Благодарил (а): 6219 раз
Поблагодарили: 23674 раза

Re: Иркутск, найден цвергщнауцер

Сообщение friedlein »

https://youtube.com/shorts/cQaV-bS8RBg? ... LGf9PbM1gx

Правда, ютуб затормозили, надо думать, куда теперь видео грузить :evil:
_________________
Добрым словом и пистолетом можно добиться гораздо большего, чем просто добрым словом.

Не в сети
Аватара пользователя
Сообщения: 744
Зарегистрирован: 13 апр 2019, 00:37
Откуда: УрФО, Челябинск
Благодарил (а): 1197 раз
Поблагодарили: 483 раза

Re: Иркутск, найден цвергщнауцер

Сообщение опричница »

МММ... У нас пока всё в прежнем режиме... Но ведь это - суровый челябинск! , :thumb: А цвержик умничка и, похоже, тот ещё хитрун :clap:
Последний раз редактировалось опричница 26 июл 2024, 18:35, всего редактировалось 1 раз.

Не в сети
Аватара пользователя
Сообщения: 3465
Зарегистрирован: 29 окт 2011, 19:47
Откуда: Санкт-Петербург
Благодарил (а): 2373 раза
Поблагодарили: 624 раза

Re: Иркутск, найден цвергщнауцер

Сообщение Nastas'ya »

Rutube :dntknw:
_________________
От того, как ты посмотришь, зависит то, что ты увидишь!

Не в сети
Аватара пользователя
Сообщения: 8893
Зарегистрирован: 10 ноя 2013, 22:36
Благодарил (а): 571 раз
Поблагодарили: 4800 раз

Re: Иркутск, найден цвергщнауцер

Сообщение Дима »

Всем привет! Давайте может имя такому хорошему мальчику выберем?
Пока тишина от старых хозяев... Лечим ушки, глазки и сделали стрижку!
Клейма нет.
Большое спасибо передержке Татьяне, которая лечит и заботится о нем! :flowers:
Отдельно хочу сказать спасибо заводчице питомника цвергов Юлии
Питомник "Ирис де люкс"- Иркутск, которая сьездила за ним, нашла нам передержку Татьяну и купила корм.
Юлия, спасибо Вам большое за вашу отзывчивость! :flowers:
Вложения
IMG-20240727-WA0032.jpg

Не в сети
Аватара пользователя
Сообщения: 8893
Зарегистрирован: 10 ноя 2013, 22:36
Благодарил (а): 571 раз
Поблагодарили: 4800 раз

Re: Иркутск, найден цвергщнауцер

Сообщение Дима »

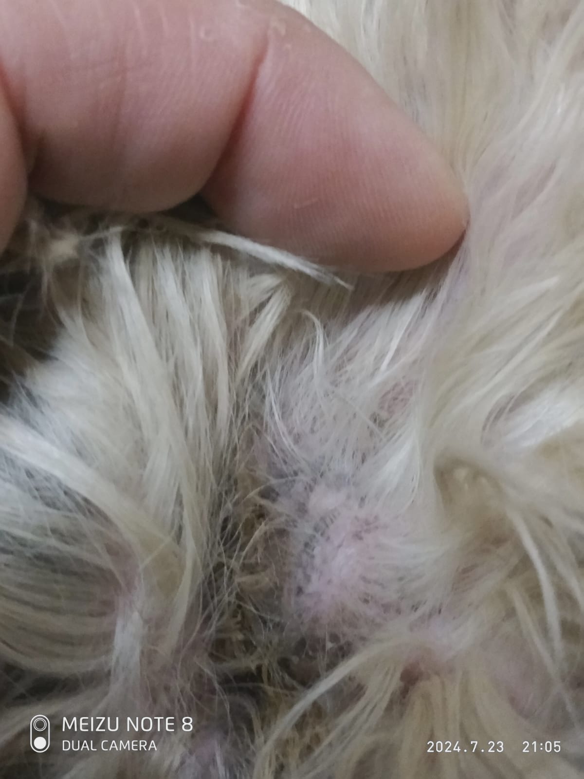
Вот такие у нас глаза и уши. Начали лечение.
Вложения
IMG-20240723-WA0080.jpg
IMG-20240723-WA0081.jpg

Не в сети
Аватара пользователя
Сообщения: 12343
Зарегистрирован: 02 ноя 2017, 12:27
Откуда: Санкт-Петербург
Благодарил (а): 6219 раз
Поблагодарили: 23674 раза

Re: Иркутск, найден цвергщнауцер

Сообщение friedlein »

Агат, Альф, Ринг, Гард, Айс, Винтер, Санни, Бафф, Ривер, Лука, Вальс, Вильям, Джаз, Блюз, Джейд, Джет, Джин, Тери
Всё, устала.
_________________
Добрым словом и пистолетом можно добиться гораздо большего, чем просто добрым словом.

Не в сети
Аватара пользователя
Сообщения: 12343
Зарегистрирован: 02 ноя 2017, 12:27
Откуда: Санкт-Петербург
Благодарил (а): 6219 раз
Поблагодарили: 23674 раза

Re: Иркутск, найден цвергщнауцер

Сообщение friedlein »

Предложение с галерки - Йохан Палыч, ласково Йож, Ëжик и т. д. ))
_________________
Добрым словом и пистолетом можно добиться гораздо большего, чем просто добрым словом.

Не в сети
Аватара пользователя
Сообщения: 8893
Зарегистрирован: 10 ноя 2013, 22:36
Благодарил (а): 571 раз
Поблагодарили: 4800 раз

Re: Иркутск, найден цвергщнауцер

Сообщение Дима »

Парень золотой, а хозяева не ищут... Сегодня обьявления поклеили. От блох избавляются..
Вложения
YQwNUhFW7WiJ-RqyzignVKTYORd7rjqoP_h1mHVsfGd62fJ_eOYN4PeMpszPII-cTJbnmf2Fl8yOHQ3iLQJRRFzO_1_1.jpg
YQwNUhFW7WiJ-RqyzignVKTYORd7rjqoP_h1mHVsfGd62fJ_eOYN4PeMpszPII-cTJbnmf2Fl8yOHQ3iLQJRRFzO_1_1.jpg (60.42 КБ) 29850 просмотров
MMtSFGupTLDZakVHPpxzA0q4W4xlGSPwW-mOxK-bZZncVu5uzBZGv--l_GYZ4-aP2J_iWce5r9qFip1GR4A8urJF_1.jpg
C3pjMKIkJrhDiFyiqezess5h6WhTYgUB_mb6HS2wskW4S1YuPKq7vu8wl_uffrlr-e_kvaBMZRz3ZadQvGRZTEko_1.jpg

Не в сети
Аватара пользователя
Сообщения: 10275
Зарегистрирован: 14 июл 2009, 17:00
Откуда: Беларусь, Минск
Благодарил (а): 5213 раз
Поблагодарили: 2125 раз

Re: Иркутск, найден цвергщнауцер

Сообщение Юлга »

WhatsApp Image 2024-08-08 at 08.55.56 (3).jpeg
WhatsApp Image 2024-08-08 at 08.55.57.jpeg
_________________
«О величии народа можно судить по его отношению к животным» Махатма Ганди

Не в сети
Аватара пользователя
Сообщения: 12343
Зарегистрирован: 02 ноя 2017, 12:27
Откуда: Санкт-Петербург
Благодарил (а): 6219 раз
Поблагодарили: 23674 раза

Re: Иркутск, найден цвергщнауцер

Сообщение friedlein »

Так как хозяева зверика не нашлись, а здоровье его нас беспокоит, решили переехать на передержку в Новосибирск и попробовать разобраться со здоровьем.

Спасибо Ольге большое за помощь.

Сегодня к ночи должен прибыть.
_________________
Добрым словом и пистолетом можно добиться гораздо большего, чем просто добрым словом.

Не в сети
Аватара пользователя
Сообщения: 12343
Зарегистрирован: 02 ноя 2017, 12:27
Откуда: Санкт-Петербург
Благодарил (а): 6219 раз
Поблагодарили: 23674 раза

Re: Новосибирск, цвергшнауцер Марик, ок. 8 лет

Сообщение friedlein »

Марик приехал в Новосибирск
https://rutube.ru/video/30b14ffbf6c12ac ... a8fe/?r=a/
Вложения
IMG-20240904-WA0027.jpg
_________________
Добрым словом и пистолетом можно добиться гораздо большего, чем просто добрым словом.

Не в сети
Аватара пользователя
Сообщения: 12343
Зарегистрирован: 02 ноя 2017, 12:27
Откуда: Санкт-Петербург
Благодарил (а): 6219 раз
Поблагодарили: 23674 раза

Re: Новосибирск, цвергшнауцер Марик, ок. 8 лет

Сообщение friedlein »

Сегодня сходили к офтальмологу, так как ужас-ужас с глазами, заливает гноем.
Марик слепой на оба глаза, видимо, в связи с синдромом сухого глаза. Лечение продолжат.
Врач сказал, что он не стар, 6-7 лет.
Ольга купила Марику корм, спасибо огромное.
И девушки не удержались и прикупили амуницию новую малышу :wub:
Чеки за визит к офтальмологу и лекарства.
Регистратура viewtopic.php?p=504983#p504983
Вложения
IMG-20240905-WA0028.jpg
IMG_20240905_182916.jpg
IMG_20240905_182916.jpg (42.75 КБ) 25159 просмотров
IMG-20240905-WA0024.jpg
WhatsApp Image 2024-09-05 at 14.42.19.jpeg
_________________
Добрым словом и пистолетом можно добиться гораздо большего, чем просто добрым словом.

Не в сети
Аватара пользователя
Сообщения: 12343
Зарегистрирован: 02 ноя 2017, 12:27
Откуда: Санкт-Петербург
Благодарил (а): 6219 раз
Поблагодарили: 23674 раза

Re: Новосибирск, цвергшнауцер Марик, ок. 8 лет

Сообщение friedlein »

Марик умеет попрошайничать. Ну, теперь-то я спокойна :smile2:
Вложения
IMG-20240906-WA0000.jpg
_________________
Добрым словом и пистолетом можно добиться гораздо большего, чем просто добрым словом.

Не в сети
Аватара пользователя
Сообщения: 12343
Зарегистрирован: 02 ноя 2017, 12:27
Откуда: Санкт-Петербург
Благодарил (а): 6219 раз
Поблагодарили: 23674 раза

Re: Новосибирск, цвергшнауцер Марик, ок. 8 лет

Сообщение friedlein »

Лекарства докупили
1599,57 руб
Вложения
IMG-20240907-WA0026.jpg
IMG-20240907-WA0025.jpg
IMG-20240907-WA0027.jpg
_________________
Добрым словом и пистолетом можно добиться гораздо большего, чем просто добрым словом.

Не в сети
Аватара пользователя
Сообщения: 12343
Зарегистрирован: 02 ноя 2017, 12:27
Откуда: Санкт-Петербург
Благодарил (а): 6219 раз
Поблагодарили: 23674 раза

Re: Новосибирск, цвергшнауцер Марик, ок. 8 лет

Сообщение friedlein »

Сходили к врачу, на 18 сентября назначена операция.
Удаление селезенки, зубы, кастрация и папиллома на шее.
Возраст 8-9 лет, не меньше, врач по Узи и прочим признакам сказал.
Симпарику можно дать, клещи в Новосибирске злые. Ольга отвезет симпарику для Марика.
Стоимость операции в районе 20 тысяч планируется.
Вложения
IMG-20240908-WA0002.jpg
_________________
Добрым словом и пистолетом можно добиться гораздо большего, чем просто добрым словом.

Не в сети
Аватара пользователя
Сообщения: 12343
Зарегистрирован: 02 ноя 2017, 12:27
Откуда: Санкт-Петербург
Благодарил (а): 6219 раз
Поблагодарили: 23674 раза

Re: Новосибирск, цвергшнауцер Марик, ок. 8 лет

Сообщение friedlein »

Чек за повторный прием офтальмолога, продолжают лечить глаза
Вложения
IMG_20240915_232650.jpg
IMG_20240915_232650.jpg (42.19 КБ) 22840 просмотров
_________________
Добрым словом и пистолетом можно добиться гораздо большего, чем просто добрым словом.

Не в сети
Аватара пользователя
Сообщения: 12343
Зарегистрирован: 02 ноя 2017, 12:27
Откуда: Санкт-Петербург
Благодарил (а): 6219 раз
Поблагодарили: 23674 раза

Re: Новосибирск, цвергшнауцер Марик, ок. 8 лет

Сообщение friedlein »

Два раза ездили к врачу, вчера и сегодня. Марик плохо себя чувствовал.
Вложения
IMG-20240916-WA0003.jpg
IMG-20240916-WA0017.jpg
IMG-20240916-WA0019.jpg
_________________
Добрым словом и пистолетом можно добиться гораздо большего, чем просто добрым словом.

Не в сети
Аватара пользователя
Сообщения: 12343
Зарегистрирован: 02 ноя 2017, 12:27
Откуда: Санкт-Петербург
Благодарил (а): 6219 раз
Поблагодарили: 23674 раза

Re: Новосибирск, цвергшнауцер Марик, ок. 8 лет

Сообщение friedlein »

Сделали операцию. Удалили селезенку, кастрировали и зуб один удалили. Папиллому не делали.
Опухоль подтекала, поэтому провозились дольше чем планировали.
Донор не понадобился, хотя Ольга подготовилась.
Вложения
IMG-20240918-WA0015.jpg
_________________
Добрым словом и пистолетом можно добиться гораздо большего, чем просто добрым словом.

Не в сети
Аватара пользователя
Сообщения: 12343
Зарегистрирован: 02 ноя 2017, 12:27
Откуда: Санкт-Петербург
Благодарил (а): 6219 раз
Поблагодарили: 23674 раза

Re: Новосибирск, цвергшнауцер Марик, ок. 8 лет

Сообщение friedlein »

Ездили на капельницу и осмотр, сдавали кровь.
Все нормально, следующий визит назначен на воскресенье.
Вложения
Screenshot_2024-09-19-13-05-21-628_com.mi.globalbrowser.jpg
IMG-20240919-WA0001.jpg
IMG-20240919-WA0006.jpg
_________________
Добрым словом и пистолетом можно добиться гораздо большего, чем просто добрым словом.
Ответить

Вернуться в «Памяти посвящается (шнауцеры)»