Тверь, метис ризеншнауцера Блэк

Пристроенные шнауцеры. Прикрепляются темы собак, находящихся на испытательном сроке.
Закрыто
  • Автор
  • Сообщение
Не в сети
Аватара пользователя
Сообщения: 21576
Зарегистрирован: 11 янв 2009, 11:20
Откуда: Москва
Благодарил (а): 5328 раз
Поблагодарили: 9639 раз
Контактная информация:

Тверь, метис ризеншнауцера Блэк

Сообщение zver »

Основная тема: viewtopic.php?f=46&t=15259

Мильбемакс - 26.03.22
Кастрирован, чипирован и вакцинирован Nobivac R - 10.05.22
Чип 643099001554533

Ухо - при даче антибиотика, амоксиклав, хлюпанье уходит и беспокоит меньше.
По прекращении, не спеша все возвращается. Хоть и в меньшей степени:(

Ноябрь, декабрь - артрогликан по 4 таблетки 2 раза в день, хромота уменьшилась, особенно после лежки, но полностью не ушла.

10 января - диронет 1000 - 1,5 таблетки

Не в сети
Аватара пользователя
Сообщения: 21576
Зарегистрирован: 11 янв 2009, 11:20
Откуда: Москва
Благодарил (а): 5328 раз
Поблагодарили: 9639 раз
Контактная информация:

Re: Тверь, метис ризеншнауцера Блэк

Сообщение zver »

12.02.2023 - вакцинирован Эурикан DHPPi+R+L

Не в сети
Аватара пользователя
Сообщения: 21576
Зарегистрирован: 11 янв 2009, 11:20
Откуда: Москва
Благодарил (а): 5328 раз
Поблагодарили: 9639 раз
Контактная информация:

Re: Тверь, метис ризеншнауцера Блэк

Сообщение zver »

730D367E-E6A3-404B-9D00-E9B9918250CA.jpeg
C3E8B9DA-ABCE-468B-AFBB-2BD7BB5F5F20.jpeg
1BC49351-1638-431B-8D0D-3632C1723391.jpeg

dar
Не в сети
Аватара пользователя
Сообщения: 23825
Зарегистрирован: 11 дек 2006, 11:54
Откуда: Москва
Благодарил (а): 867 раз
Поблагодарили: 1734 раза
Контактная информация:

Re: Тверь, метис ризеншнауцера Блэк

Сообщение dar »

Ир, а что напрягло? Почему анализ взяла?
_________________
Шнауцеров много не бывает

Не в сети
Аватара пользователя
Сообщения: 21576
Зарегистрирован: 11 янв 2009, 11:20
Откуда: Москва
Благодарил (а): 5328 раз
Поблагодарили: 9639 раз
Контактная информация:

Re: Тверь, метис ризеншнауцера Блэк

Сообщение zver »

dar писал(а): 02 мар 2023, 15:18 Ир, а что напрягло? Почему анализ взяла?
Да надо что-то с его ухом делать, если возможно. Оно не хлюпает, сейчас не жарко. Но всегда ниже, головой потряхивает и предупреждающе повизгивает, если задеть.
Хромота его не прогрессирует, после артрогликана и получше стала...
а ухо беспокоит.
Хочу хирургам показать....
Да и с год у нас детинушка , почти, ничего не проверяли.
А если решим что-то делать, то заодно и жировик на плече убрать и паппилому на шее. Под шерстью не видно, если в рост пойдет.

dar
Не в сети
Аватара пользователя
Сообщения: 23825
Зарегистрирован: 11 дек 2006, 11:54
Откуда: Москва
Благодарил (а): 867 раз
Поблагодарили: 1734 раза
Контактная информация:

Re: Тверь, метис ризеншнауцера Блэк

Сообщение dar »

По анализам там прямо можно полечить что-нибудь
_________________
Шнауцеров много не бывает

Не в сети
Аватара пользователя
Сообщения: 21576
Зарегистрирован: 11 янв 2009, 11:20
Откуда: Москва
Благодарил (а): 5328 раз
Поблагодарили: 9639 раз
Контактная информация:

Re: Тверь, метис ризеншнауцера Блэк

Сообщение zver »

dar писал(а): 02 мар 2023, 17:06 По анализам там прямо можно полечить что-нибудь
По клинике?
Ну в целом как то не очень внятно, учитывая процесс в ухе....
Глистогонку еще раз выдам, на всякий случай.
Возможно витамин Дз и кальций в чем-то из добавок

Чтоб можно было что-то рассмотреть в слуховом проходе, начнем пить амоксиклав 875 + 125 по 1 т 2 раза в день 10 дней и ПреОтик АВ в ухо

dar
Не в сети
Аватара пользователя
Сообщения: 23825
Зарегистрирован: 11 дек 2006, 11:54
Откуда: Москва
Благодарил (а): 867 раз
Поблагодарили: 1734 раза
Контактная информация:

Re: Тверь, метис ризеншнауцера Блэк

Сообщение dar »

Кальций цитрат лучше всего усваивается. проверено. но он дорогой
_________________
Шнауцеров много не бывает

Не в сети
Аватара пользователя
Сообщения: 21576
Зарегистрирован: 11 янв 2009, 11:20
Откуда: Москва
Благодарил (а): 5328 раз
Поблагодарили: 9639 раз
Контактная информация:

Re: Тверь, метис ризеншнауцера Блэк

Сообщение zver »

CA1D7969-4609-4671-A178-0F7F382A4F22.jpeg
FAC66E58-CEE1-4394-A440-1E77BAA8274F.jpeg
143D8A62-1CD7-487D-8966-FC5E3EBCC293.jpeg

Не в сети
Аватара пользователя
Сообщения: 21576
Зарегистрирован: 11 янв 2009, 11:20
Откуда: Москва
Благодарил (а): 5328 раз
Поблагодарили: 9639 раз
Контактная информация:

Re: Тверь, метис ризеншнауцера Блэк

Сообщение zver »

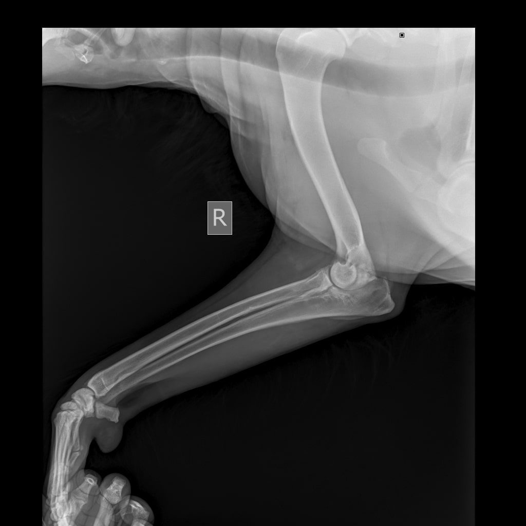
Ну и теперь своими словами:
По локтю :
Крючковидный отросток фрагментирован, артрит.
Здесь по сути только НПВС курсами при обострении.
Это было понятно заранее.
С таким суставом Блэку жить.
Сустав отреагировал на 10 дней антибиотика лучше, чем на хондропротектор. Хромота заметно снизилась:))))

По уху:
После 10 дней амоксиклава 875 + 125 мг 2 раза в день и ПреОтика АВ, то, что я считала новообразованием в слуховом проходе рассосалось. Более того, слуховой проход открылся и сверху.
Возможно, это было 2 см пробки из воспалительного эксудата.
Сейчас Блэк спокойно дает ухо трогать, смотреть и ровно держит голову. Но есть заметное сужение слухового прохода, которое будет давать такие вещи.
Пластика здесь не поможет.
Но, посмотрим, сколько мы проживем без обострений и если начнется, пропьем антибиотик месяц....

Если обострения будут не часты, то и бог с ним.
Если антибиотик, как в первый раз при применении амоксиклава 500 в течение 2 недель, будет давать кратковременный результат, будем думать об удалении слухового прохода.

Весит парень 45 кг, я думала больше:)))

Не в сети
Аватара пользователя
Сообщения: 21576
Зарегистрирован: 11 янв 2009, 11:20
Откуда: Москва
Благодарил (а): 5328 раз
Поблагодарили: 9639 раз
Контактная информация:

Re: Тверь, метис ризеншнауцера Блэк

Сообщение zver »

Глистогонка: диронет 1000 - 1,5 табл.
Закрыто

Вернуться в «Истории со счастливым концом (шнауцеры)»